Menu
Foarwei 21-0 Aldwâld - Hoofdafbeelding.jpg
Foarwei 21-0 Aldwâld - Afbeelding 2.jpg
Foarwei 21-0 Aldwâld - Afbeelding 3.jpg

Tonen op kaart

Brochure

Beschikbaar: Foarwei 21-0, Aldwâld

Aldwâld Foarwei 21-0

1.425 m² perceeloppervlakte

€ 75.000

k.k.

Beschikbaar

Geïnteresseerd in dit object?

Vraag eenvoudig een bezichtiging aan!

Interesse in woning

Omschrijving

NIEUWE KAVELS TOEGEVOEGD!

Op het waterrijke recreatiepark ‘Lyts Aldwâld’ in het noordoosten van Friesland liggen deze bouwkavels op eigen grond op een van de mooiste plekken van het park. De meeste kavels bevinden zich op een rustige plek aan het einde van het park en hebben directe toegang tot het vaarwater, inclusief een eigen aanlegplek. Daarnaast bieden de kavels een vrij uitzicht over de historische trekvaart en de weilanden. Je mag de kavels 365 dagen per jaar gebruiken en semipermanent wonen is dus mogelijk.

Op het park mag je het hele jaar door recreëren, waardoor het een ideale locatie is voor liefhebbers van water en natuur. De parklasten bedragen op dit moment slechts €400,- per jaar, wat bijzonder laag is in vergelijking met andere recreatieparken.

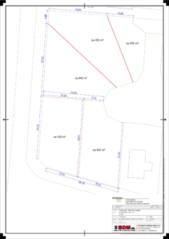
Er zijn nog 4 kavels op het park beschikbaar (exclusief btw, kosten koper):
- Kavel 1: ca. 425m² oppervlakte*: VERKOCHT
- Kavel 2: ca. 430m² oppervlakte*: VERKOCHT
- Kavel 3: ca. 442m² oppervlakte*: € 132.500,-
- Kavel 4: ca. 453m² oppervlakte*: € 135.000,-
- Kavel 5: ca. 200m² oppervlakte*: € 75.000,-
- Kavel 6 (met stacaravan): 330m² oppervlakte: € 99.000,-

Creëer hier jouw eigen vakantieparadijs!
Op deze percelen heb je volop ruimte om uw ideale vakantieverblijf te realiseren. Gelegen aan de trekvaart bij het park, geniet je van een vrij uitzicht over de groene weilanden. Hier kun je elke ochtend wakker worden met een adembenemend uitzicht en de rust van de natuur. Of je nu droomt van een luxe chalet, een knusse stacaravan of een zelfontworpen recreatiewoning, de keuze is geheel aan jou. Ontwerp en bouw je perfecte vakantieverblijf die aan al jouw wensen voldoet.

Verhuur
Of je nu op zoek bent naar uw eigen vakantieparadijs of een slimme investering wilt doen door te verhuren, deze kavel biedt u de vrijheid en flexibiliteit die je zoekt. Geniet van onbezorgde vakanties wanneer het jou uitkomt, en profiteer van de mogelijkheid om een extra inkomen te genereren door de woning te verhuren wanneer je er zelf geen gebruik van maakt.

Parkkosten
Met slechts €400 per jaar aan parkkosten en 365 dagen aan recreatiemogelijkheden, is dit de ideale bestemming voor ontspanning en plezier, wanneer het jou uitkomt.

Bouwmogelijkheden
Voor de bouwmogelijkheden en voorschriften kun je terecht bij het Omgevingsloket, waar het bestemmingsplan en de bijbehorende regels te vinden zijn. Dit bestemmingsplan bevat onder andere voorschriften voor:
- de onderlinge afstand tussen recreatiewoningen en/of stacaravans
- de gezamenlijke oppervlakte van een recreatiewoning en ondergeschikte bebouwing
- bouwhoogtes en dakhellingen

Ligging
Vanaf het park vaar je direct de Strobossertrekvaart op, die de Elfstedenstad Dokkum via Kollum verbindt met het Prinses Margrietkanaal. Dit biedt volop mogelijkheden voor mooie vaartochten door het Friese landschap. Kollum en Buitenpost liggen daarnaast op slechts enkele autominuten afstand, waar je een breed scala aan supermarkten en andere winkels vindt.

Extra info:
-Kavels 1 t/m 5 zijn gelegen nabij huisnummer 21-94. De kavels 1 t/m 5 maken deel uit van het kadastrale perceelnummer 3686. De maatvoeringen zijn indicatief; de exacte afmetingen en oppervlakten blijken na uitmeting door het Kadaster.
-Kavel 6 is gelegen nabij huisnummer 21-21 en wordt opgeleverd met de stacaravan die op het perceel aanwezig is. Kavel 6 betreft kadastraal perceelnummer 3572. Dit perceel is reeds uitgemeten; de perceelgrenzen zijn kadastraal vastgesteld en daarmee bekend.

Heb jij al zin om deze bouwkavel(s) om te toveren tot een heerlijke recreatieplek? Grijp deze kans en neem snel contact op met onze flexibele makelaars!

Kenmerken

Vraagprijs 75.000 k.k.
Aangeboden vorige maand
Status Beschikbaar
Aanvaarding In overleg

Bekijk alle kenmerken...

Interesse?

Vraag een bezichtiging aan

Bekijk de omgeving

Ontdek de ligging van deze woning

Alle kenmerken

Bestemming

Huidig gebruik Bouwgrond
Huidige bestemming Bouwgrond
Recreatiewoning 1

Kadaster WESTERGEEST D 3686

Oppervlakte 442 m²
Omvang Deelperceel

Bouw

Bouwvorm Niet van toepassing

Oppervlakken en inhoud

Perceeloppervlakte 1.425 m²

Buitenruimte

Ligging Aan water, Aan rustige weg, In woonwijk, Vrij uitzicht, Open ligging, Aan vaarwater, Landelijk gelegen

Bouwgrond

Bouwrijp Ja

Vergelijkbaar in de buurt

...